Обяви За нас Контакти
Продава ПАРЦЕЛ
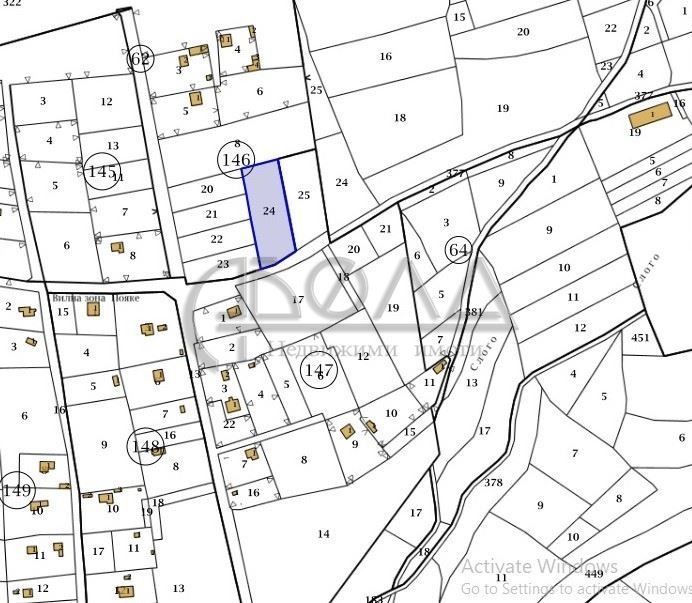
област София, с. Градец
47 443 €
92 790.44 лв.

(19 €, 37.16 лв./m2)
Цената е с включено ДДС
История на цената
Публикувана в 11:25 на 7 януари, 2026 год.
Обявата е посетена 41 пъти.
Площ:
2497 m2
Регулация:
ДА

Описание на имота:


Агенция Абела продава УПИ в с.Градец, общ.Костинброд, 2497 кв.м. От парцела се открива красива панорамна гледка към София и Витоша. Съгласно Устройствения план парцелът е предназначен за застрояване на жилищен обект до 10м. Има ток и водопровод в непосредствена близост. Имотът има лице на път и е с правилна форма. За повече информация и огледи се свържете с мен на телефон 0877/29 47 48.
Особености
За жил.строителство
За контакт:
0877294748
Брокер:
Илиян Стойчев
abela
Още оферти от брокера: Продава | Дава под наем | Купува | Наема
Агенция:
АБЕЛА НЕДВИЖИМИ ИМОТИ
0887200503
АБЕЛА НЕДВИЖИМИ ИМОТИ logo
Медал за прослужено време
В imot.bg от 2011 г.
abela.imot.bg
Адрес:
област София, гр. София, Красно село Бл.32
http://abella.bg
ИЗПРАТИ ЗАПИТВАНЕ
ИЗПРАТИ ЗАПИТВАНЕТО

Продава ПАРЦЕЛ
област София, с. Градец
Обява: 1r176777795366521

47 443 €
92 790.44 лв.
История на цената
(19 €, 37.16 лв./m2)

Цената е с включено ДДС
ЗАПАЗИ ОБЯВАТА

Местоположение: област София, с. Градец